a header  

Ekaterinoslav

Mariupolskii District

Jewish Colony No. 7

Grafskoy

Grafskaya, Proletarsky

Proletarskoe

  47° 31' /  36° 49'

View of the Grafskoy Shul looking Northeast.
The sign 1952 dates from the 1952 renovation of the Shul as a Community Center.

Grafskaya, 1865.

Silver medal for "service" awarded under the reign of Tsar Nikolai II to
Velvel Komisaruk (son of Rabbi Shlomo Zalmen Komisaruk) about 1890. Velvel
served as "Starosta" (mayor) of Grafskoy.

Berel Komisaruk 's  yard

Mendel Komisaruk's house (c. 1925)

Grafskoy School evcol 22, 1904.

Photos © Chaim Freedman All rights reserved

Note: Residents called it "Grafskoy" not Grafskaya which may appear in various sources.

 

Rabbi Pinkhas Halevi Komisaruk
Born 1830, Rassein (now Raseiniai), Lithuania.
Died 26th Adar Rishon, 5697/1897 Grafskoy, (now Proletarsky), Ukraine
Son of Rabbi Shlomo-Zalman Halevi (1798-1853) and Yokhved Komisaruk.
Great-Great-grandson of the Vilna Gaon."

 

Revision Lists for Grafskoy 1858 Bruser

 

Revision census list May 1858, Komisaruk Family

https://kehilalinks.jewishgen.org/Colonies_of_Ukraine/Grafskoy/19.jpg

https://kehilalinks.jewishgen.org/Colonies_of_Ukraine/Grafskoy/18.jpg

https://kehilalinks.jewishgen.org/Colonies_of_Ukraine/RL1858Grafskoy.htm

Colony Surveys - Komisaruk Family, Grafskoy

Prenumeranten lists have been discovered which include the kolonyas.

While the entire lists merit translation here are some highlights. The transliteration maintains the actual Hebrew spelling.
bullet"Imrei Shmuel" by Shmuel Kalonymus Eizinbod (1911)
bullet"Kehilat Yitskhak" by Yitskhak Tzvi Margolin, Rabbi of Sladkovodna(1911)

 

Memoirs of Grafskoy 1907-1921, by Rabbi Yehudah Leib Chiel Shifrin, son of a rabbi of Grafskoy

 

Komisaruk Family Album

bullet

page one Beryl Komisaruk

bullet

page two Meyer Comisarow

bullet

page three Mendel Komisaruk

bullet

page four Barukh Leib Lev and Berel Komisaruk

bullet

page five Bayla Reeva Komisaruk and family - passport

bullet

page six Obituary (Hamelitz newspaper) of Rabbi Pinkas Komisaruk

bullet

page seven Menakhem Mendel Komisaruk (1864-1919)

bullet

page eight Berel's chilren and their cousin Rose Amiton

bullet

page nine Pinkhas son of Simkha Komisaruk

bullet

page ten Benyomin Komisaruk

bullet

Rabbi Shlomo Zalmen Komisaruk of Vasilkovka (1855-1920).

Tybel (Tessie) Freedman, nee Komesaroff/ Komisaruk Ancestry from Colonist Families

 

Zaporozhe Archive - Grafskoy Census, 1858

 

Proletarsky/Grafskoy synagogue 2010, Orlinsky

Our Father's Harvest Supplement: https://kehilalinks.jewishgen.org/Colonies_of_Ukraine/Chaim%27s%20Introduction.htm

Our Fathers' Harvest" Chaim (then Keith) Freedman 1982

In 1982 Chaim (then Keith) Freedman wrote a history of the Komisaruk family entitled "Our Fathers' Harvest" which included material about the Jewish colonies. https://kehilalinks.jewishgen.org/Colonies_of_Ukraine/Chaim%27s%20Introduction.htm

PDF images of:

Part 1 (https://kehilalinks.jewishgen.org/Colonies_of_Ukraine/Our%20Fathers%20Harvest%201.pdf)
Part 2 (https://kehilalinks.jewishgen.org/Colonies_of_Ukraine/Our%20Fathers%20Harvest%202.pdf)
Part 3 (https://kehilalinks.jewishgen.org/Colonies_of_Ukraine/Our%20Fathers%20Harvest%203.pdf)
Part 4 (https://kehilalinks.jewishgen.org/Colonies_of_Ukraine/Our%20Fathers%20Harvest%204.pdf)
Part 5 (https://kehilalinks.jewishgen.org/Colonies_of_Ukraine/Our%20Fathers%20Harvest%205.pdf)

In 1990 a supplement appeared with additional material, some of which appears on this colony site: https://kehilalinks.jewishgen.org/Colonies_of_Ukraine/Colonization.htm

https://kehilalinks.jewishgen.org/Colonies_of_Ukraine/russian_geography.htm

https://kehilalinks.jewishgen.org/Colonies_of_Ukraine/russian_sources.htm

https://kehilalinks.jewishgen.org/Colonies_of_Ukraine/from_the_hebrew_press_1958.htm

https://kehilalinks.jewishgen.org/Colonies_of_Ukraine/memoirs_of_rokhel_luban.htm

In 1997 the genealogical information from the previous books was updated and published in Freedman's "Eliyahu's Branches, The Descendants of the Vilna Gaon and His Family" (Avotaynu 1997)
http://www.avotaynu.com/books/gaon.htm
http://eliyahusbranches.blogspot.co.il/

Those sections of "Our Father's Harvest" which are relevant to the colonies have been scanned for this site. Some of that material has been considerably updated as it became available from Ukrainian and Lithuanian archives after the fall of the Soviet Union.

Such material did not appear in the original book provided here. Nevertheless the information in that book provides valuable material particularly that obtained from interviews of Freedman's great-uncle William Komesaroff (Melbourne) who had vivid memoirs of the colony Grafskoy.


 Grafskoy resurrected - recreating one's ancestral home

I used a satellite photo of Proletarsky, formerly Grafskoy, to recreate a photo of the home of the Komisaruk family.

I compared the current satellite photo from Google Earth which has great resolution and  was able to identify buildings based on:

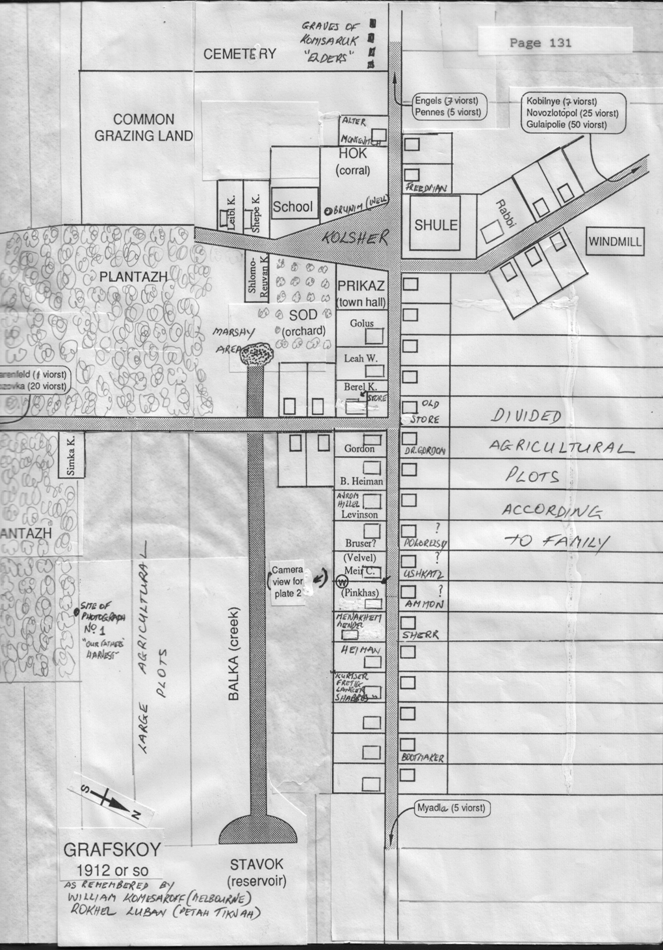
Willie Komesaroff's plan of Grafskoy, drafted about 1970 and based on his memories until about 1919. (see this site).
Maps from various sources, 19th century Russia, pre and post Revolution.
Aerial photo taken by the German airforce in 1943.
Old family photographs of people and houses.
Mel Comisarow's photos taken on his visits to the colonies in 1999 and 2002.
Photos taken by local Ukrainian Orlinsky in 2010.
See all of his photos http://www.panoramio.com/user/3366156/tags/2010 (also other colonies)

I built a model of Grafskoy placing photos on a table around roads and features derived from the above sources.

Attached are photos and a video of "Grafskoy resurrected" from my presentation.

 

Map Lecture Video

Surnames: Komisaruk, Levinsohn & Ulman

Sources: KehilaLinks websites: Ananyev, Balta, Berdyansk & Poninka

back to chart

a footer

logo

Research Contact: Chaim Freedman
This page maintained by Max Heffler
Updated Thursday March 07 2024. Copyright © 1999 [Jewish Agricultural Colonies of the Ukraine]. All rights reserved.

    

Home 

Jewish Gen Home Page

 KehilaLinks Directory